إعصار «ميليسا» يتصاعد إلى الفئة الخامسة وخبير أرصاد يوضّح تأثيره المحتمل على إيرلندا
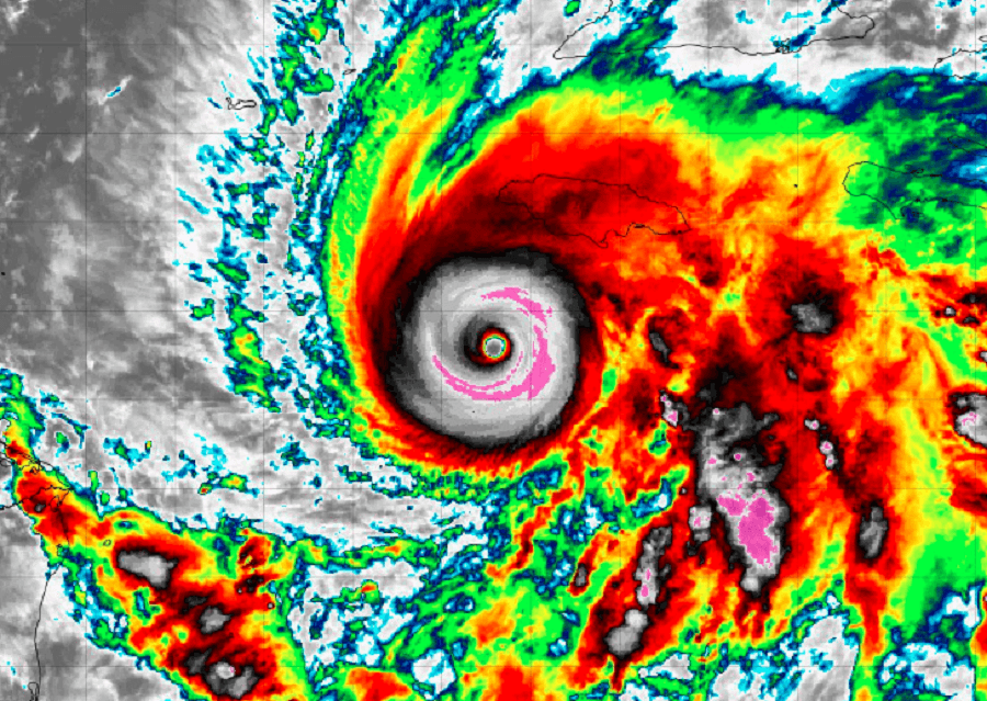
تحوّل إعصار «ميليسا» إلى إعصار من الفئة الخامسة، في الوقت الذي تستعد فيه جامايكا لمواجهة عاصفة مدمّرة وسط تحذيرات من رياح عاتية وأمطار غزيرة.
ووفقًا لتقارير الأرصاد الجوية، يُتوقع أن تتجنّب إيرلندا أسوأ تداعيات الإعصار، رغم استمرار حالة من عدم اليقين بشأن تأثيراته في نهاية الأسبوع الجاري.
وقال خبير الأرصاد الجوية، آلان أوريلي، المشرف على حساب (CarlowWeather) على منصة «إكس»، إن البلاد قد تشهد طقسًا مضطربًا الأسبوع المقبل نتيجة بقايا الإعصار.
Hurricane #Melissa a category 5 hurricane will sadly hit Jamaica over the next 24 hours. The remnants of Melissa could bring us some wet and windy here in Ireland in a week’s time but uncertainty on details yet. pic.twitter.com/Q507yARdTF
— Carlow Weather (@CarlowWeather) October 27, 2025
وكتب أوريلي على وسائل التواصل الاجتماعي: «الإعصار ميليسا، المصنف من الفئة الخامسة، سيضرب جامايكا خلال الساعات الأربع والعشرين المقبلة للأسف. أما بالنسبة لإيرلندا، فقد تجلب بقايا الإعصار أمطارًا ورياحًا قوية خلال أسبوع تقريبًا، لكن التفاصيل ما زالت غير مؤكدة»، وفقًا لما ذكرته صحيفة (Irish Mirror).
من جهتها، أوضحت هيئة الأرصاد الجوية (Met Éireann)، أن البلاد ستشهد خلال الأيام المقبلة طقسًا متقلبًا يتراوح بين فترات مشمسة وأمطار متفرقة، قبل أن تتدهور الأحوال الجوية تدريجيًا مع نهاية الأسبوع.
توقعات الطقس بحسب (Met Éireann):
اليوم الثلاثاء: طقس معتدل ومشمس جزئيًا مع أمطار متفرقة تزداد غزارة في الغرب والشمال الغربي، وتتراوح درجات الحرارة بين 10 و13 درجة مئوية، مع رياح غربية إلى جنوبية غربية معتدلة إلى قوية.
Bright and breezy today with sunny spells & scattered showers🌦️
The showers will becoming widespread later today🌧️ Some of them could be heavy or prolonged, especially in the W and NW
Highs of 10 to 13 C in moderate to fresh and gusty west to southwest winds🍃 pic.twitter.com/DbiO0fAAr7
— Met Éireann (@MetEireann) October 28, 2025
الليلة: سماء متقلبة بين الغيوم والفترات الصافية، مع استمرار زخات المطر في الغرب والشمال الغربي، وأدنى درجات حرارة بين 3 و7 درجات مئوية.
غدًا الأربعاء: طقس عاصف جزئيًا مع رياح غربية قوية وأمطار متفرقة، خصوصًا في الغرب والشمال، وقد يصاحبها برد خفيف، ودرجات حرارة تتراوح بين 9 و12 درجة مئوية، وتتحسن الأجواء مساءً تدريجيًا.
التوقعات العامة للأيام المقبلة:
ليلة الأربعاء: أجواء باردة وجافة نسبيًا تحت سماء صافية في أغلب المناطق، مع احتمال ظهور الصقيع في بعض المناطق الداخلية، بينما تبدأ الغيوم في التزايد من الجنوب الغربي قبيل فجر الخميس.
الخميس: يوم ممطر وعاصف مع رياح جنوبية شرقية قوية وعواصف محتملة على السواحل، وأمطار غزيرة قد تسبب تجمعات مائية، يليها تحسّن تدريجي مساءً مع تحوّل الرياح إلى الاتجاه الجنوبي، ودرجات حرارة تتراوح بين 8 درجات شمالًا و14 درجة جنوبًا.
الجمعة: حالة من عدم الاستقرار، إذ تشير التوقعات إلى بداية جافة ومشرقة في معظم المناطق، قبل أن تتكاثر الغيوم وتتساقط الأمطار مجددًا من الجنوب خلال النهار، لتصبح الأجواء معتدلة بدرجات حرارة بين 11 و14 درجة مئوية.
عطلة نهاية الأسبوع: من المتوقع استمرار الطقس المتقلب تحت تأثير منخفضات جوية متتابعة، ما يعني مزيجًا من الأمطار والفترات المشمسة والرياح المتغيرة الاتجاه.
arabdublin.ie by Ireland in Arabic Organization is licensed under CC BY-NC-ND 4.0








